湄洲湾航道三期工程(Ⅱ阶段)新增东吴航道扩建工程已于2016年5月24日完成交工验收。具体技术参数及航道保护事项通告如下:
一、航道通航标准
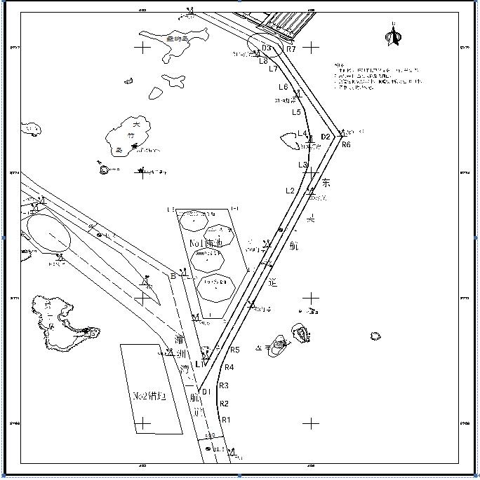
新增东吴航道扩建工程按照乘潮单向通航15万吨级散货船及不超过设计船型尺度船舶要求建设,该航道起点从湄洲湾主航道AB 段中部的D1 点起(距A 点6.47km),经螺港礁,沿东吴海域深槽至东吴作业区东1#、东2#泊位附近的D3 点,航道里程9.6公里,航道有效宽度250m,设计底高程-15.4m(当地理论最低潮面)。
二、轴线技术参数
|
转向点 |
直角坐标(1954年北京坐标系) |
经纬度(WGS-84) |
航程
|
转向角 |
航 向 |
|
|
D1 |
2768813.99 404262.41 |
25°01′16.9″N 119°03′08.1″E |
7.01 |
32.71° |
21°42′27″~201°42′27″″ |
|
|
D2 |
2775322.63 406853.50 |
25°04′49.0″N 119°04′38.9″E |
49.00° |
|||
|
2.57 |
332°42′27″~152°42′27″ |
|||||
|
D3 |
2777604.81 405675.95 |
25°06′02.9″N 119°03′56.4″E |
29.01° |
|||
|
合 计 |
|
|
9.6 |
|
|
三、航道边界点平面参数
|
边界控制点 |
直接坐标
|
经纬度
|
|||
|
航 道 左
边
|
L1 |
2769470.84 |
404389.36 |
25°01′38.3″N |
119°03′12.5″E |
|
L2 |
2773899.64 |
406152.46 |
25°04′02.6″N |
119°04′14.3″E |
|
|
L3 |
2774587.22 |
406344.21 |
25°04′25.0″N |
119°04′20.9″E |
|
|
L4 |
277529981 |
406385.70 |
25°04′48.1″N |
119°04′22.3″E |
|
|
L5 |
2776005.01 |
406275.05 |
25°05′11.0″N |
119°04′18.1″E |
|
|
L6 |
2776670.64 |
406017.30 |
25°05′32.6″N |
119°04′08.8″E |
|
|
L7 |
2777148.65 |
405770.66 |
25°05′48.1″N |
119°03′59.9″E |
|
|
L8 |
2777449.25 |
405501.94 |
25°05′57.8″N |
119°03′50.2″E |
|
|
航
|
R1 |
2768063.17 |
404663.10 |
25°00′52.6″N |
119°03′22.6″E |
|
R2 |
2768531.79 |
404606.26 |
25°01′07.8″N |
119°03′20.5″E |
|
|
R3 |
2769003.72 |
404616.66 |
25°01′23.2″N |
119°03′20.7″E |
|
|
R4 |
2769469.38 |
404694.09 |
25°01′38.3″N |
119°03′23.3″E |
|
|
R5 |
2769919.29 |
404836.97 |
25°01′53.0″N |
119°03′28.3″E |
|
|
R6 |
2775329.32 |
406990.70 |
25°04′49.2″N |
119°04′43.8″E |
|
|
R7 |
2777690.87 |
405772.21 |
25°06′05.7″N |
119°03′59.8″E |
|
四、航标布设
本工程未新设航标,利用原东吴10万吨级航道航标。
五、航道边界示意图

六、航道保护
根据《中华人民共和国航道法》有关规定,航道和航道设施受国家保护,任何单位和个人不得侵占或者破坏。自本通告发布之日起,东吴15万吨级航道及航道两侧边线外经海洋功能区划核定的航道功能区范围内,禁止下列影响通航和破坏航道的行为:
(一)在航道内设置渔具或者水产养殖设施的;
(二)在航道和航道保护范围内倾倒砂石、泥土、垃圾以及其他废弃物的;
(三)在航道和船舶调度区内从事货物装卸、水上加油、船舶维修、捕鱼等,影响通航水域正常运行的;
(四)危害航道设施安全的;
(五)其他危害航道通航安全的行为。
特此通告。
福建省湄洲湾港口管理局
2016年5月31日
扫一扫在手机上查看当前页面


